您的位置: 网站首页 > 专题专栏 > 正文

眉山市东坡区自然资源和规划局药行天下创业孵化园项目规划设计方案批前公示

责任编辑:东坡区自然资源和规划  文章来源:东坡区自然资源和规划局   发布日期:2019-11-07  点击:

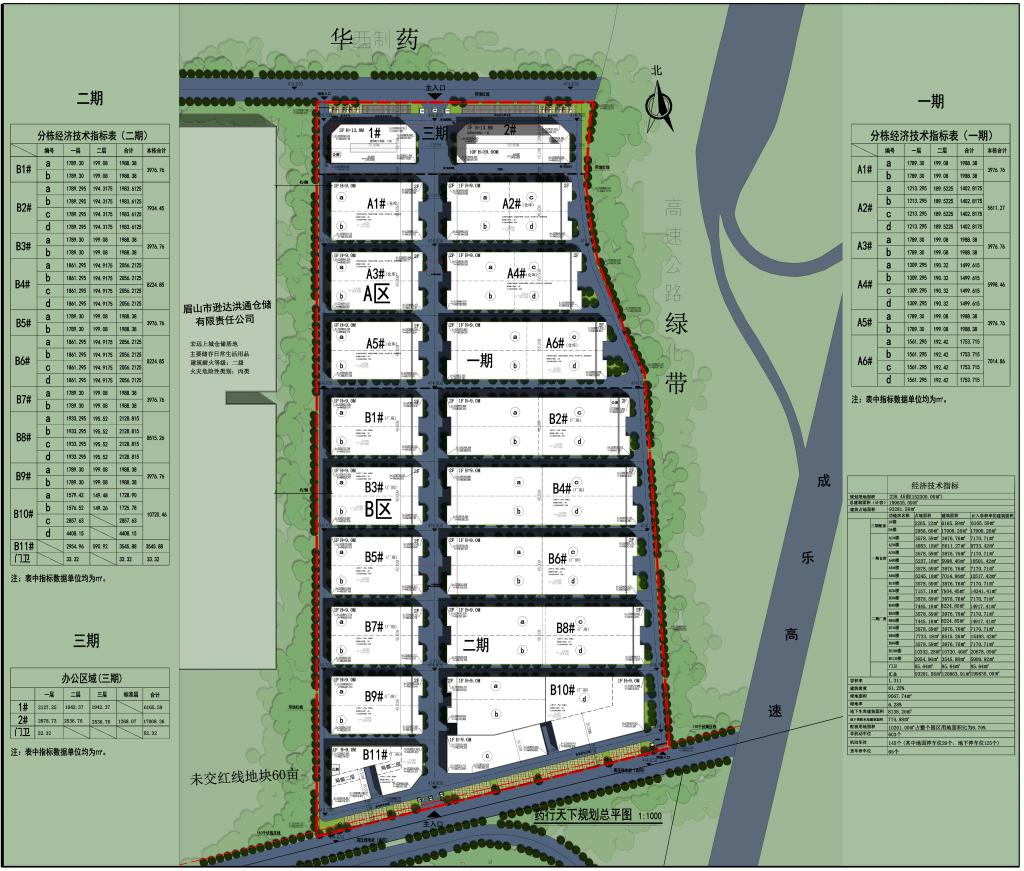
该项目位于眉山市经开新区,用地面积152300.05㎡,总建筑面积129002.11㎡,计容建筑面积199635.09㎡,已经东坡区规委会审议通过。为保证规划的公开、公正、透明,现在项目建设所在地对该方案进行审批前公示,公示期自2019年11月7日至2019年11月15日。

广大群众如有意见,请在公示期内以实名(附联系电话)向我局反映。如无反对意见,我局将按规定程序审批。

意见受理:眉山市东坡区自然资源和规划局

联系电话:028-38229531


 

上一条:眉山市东坡区自然资源和规划局迈柯网络物流平台建设项目规划设计方案批前公示 下一条:眉州药房连锁有限公司十门店中医诊所注销公告

关闭

蜀ICP备12002995号川公网安备 51140202000234号 网站标识码:5114020004 

主办单位:中共眉山市东坡区委办公室眉山市东坡区人民政府办公室